Suların çekildiği Terkos Gölü’nde ortaya çıkan tarihi yol havadan görüntülendi
İstanbul'un önemli barajlarından biri olan ve su seviyesi 31.38'e gerileyen Terkos Gölü'nde tarihi bir yol ortaya çıktı.
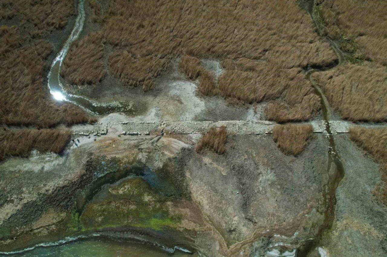
İstanbul'un önemli barajlarından biri olan ve su seviyesi 31.38'e gerileyen Terkos Gölü'nde tarihi bir yol ortaya çıktı. Havadan görüntülenen gölde, suların çekildiği alanların kuruduğu ve tarihi yolun ortaya çıktığı görüldü.
İstanbul'a su sağlayan önemli barajlardan biri olan Terkos barajında doluluk oranı yüzde 31.38 olarak ölçüldü. Gittikçe küçülen Terkos baraj gölünün kıyılarının bazı bölümlerinde sular yüzlerce metre geri çekildi. Geçen yıl 20 03.2022 tarihine yüzde 83.2 olarak ölçülen doluluk oranı bu yıl 31.38'e geriledi. Bu çekilme sonucu gölde bulunan tarihi bir yol ortaya çıktı. Yapılan ilk incelemede önce Balkan savaşı yıllarından kaldığı düşünülen yolun, daha eski olduğu tespit edildiği öğrenildi. Havdan çekilen gölde su seviyesinin gerilemesi nedeniyle bazı alanların kuruduğu bu nedenle tarihi yolun ortaya çıktığı görüldü.




Kaynak: