Manşetler
Günün Haberleri
Arşiv
Sitene Ekle
Yerel
Ekonomi
POLİS-ADLİYE
Konyaspor
Yaşam
Konya
6 °C
24
16:15
Konya için Kritik Uyarı: Zirai Don Kapıda!
16:01
KTÜN Akademik Kadrosunu ve Öğrenci Kapasitesini Güçlendirdi
15:29
Konyaspor’a Eski Dost Freni mi, İntikam mı? Stanojevic Bu Kez Rakip!
15:21
Minik öğrencilerden Beyşehir Emniyetine sürpriz
15:03
Kiraz bahçelerinde zirai don nöbeti
14:57
Kasap dükkanında mide bulandıran görüntü
14:56
7. Akıl ve Zeka Oyunları Karatay İlçe Finali gerçekleştirildi
14:54
Tera Holding’den tarımda dikkat çeken adım
14:42
Gelin arabası hayaliyle aldığı sıfır otomobil kabusu oldu
14:35
Otomobil içinde kanlı veda: Kadın öldü, şüpheli ağır yaralı
Günün tüm
haberleri
Anasayfa
Türkiye
Türkiye
Mehmet Baransu'nun eşi de dinlemeye takıldı!
Fakirin evine yemek gidecek
YSK açıklama yapacak!
Doktorlar sigorta kuyruğuna girdi
Kıyat'tan şok edici açıklamalar
Topçu'dan Gülen'e destek
Referandumun ilk oyları verildi
Kılıçdaroğlu SSK'yı böyle batırmış
PKK'nın dokunmadığı MHP'li gözaltında
Genelkurmay saldırıyı böyle izledi - VİDEO
Abdullah Öcalan'ı asker yönetiyor!
Kadın amire Facebook cezası
Kur'an-ı Kerim yakma kampanyası!
Şok istifa!
Sepetli motosiklete 10 kişi bindiler
Anadolu "EVET" dedi
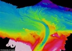
Boğaz'ın altında dev nehir
Kürtler referandumda evet diyecek
Baydemir haddini aştı !
Kılıçdaroğlu internette alay konusu oldu
Yunanlıları AKP'lilerden çok seviyorum
Metin'i Mason Yapamadım!
Erbakan'ın evi satılıyor!
Türkeş’i idamdan kim kurtardı
Yoksulun giysilerini devlet yıkayacak
Hüseyin Çelik'e duygusal taciz cezası
Dörtyol'da kafa karıştıran buluşma
Yaş öncesi Köşk'te sürpriz zirve
Kamusal alanda türbana 'evet' kararı
Yargıda 'toplu izin' yarın başlıyor
21 Emniyet Müdürünün yeri değişti
İsim İsim İçişleri Bakanlığı atamaları
Gökte ararken Facebook'ta buldu
Sağlık çalışanlarına mesai müjdesi
Levent koruma altında
Van Emniyet Müdürü görevden alındı
Dörtyol'da yaşanan olayların altında kim var?
Kobralar PKK'lıları neden vurmadı?
Başbuğ YAŞ öncesi son noktayı koydu!
PKK'nın saldırı aracı MHP'li üyeninmiş
Balyoz operasyonunda ilk gözaltı!
CHP'li Sav'ın İslam'a hakareti onandı
Kepez Belediyesi'nden çocuklara Konya gezisi
Emniyet'te referandum alarmı
Apo Kürtleri isyana teşvik ediyor
Bu fotoğraflar olay yaratacak
MHP'nin o pankartı yine asıldı
Erdoğan'a hakaret eden albay kovuldu
1763
1764
1765
1766
1767
1768
1769
Haberler
Son Haberler
Manşetler
Yerel
Ekonomi
POLİS-ADLİYE
Konyaspor
Yaşam
Dünya
Spor
Magazin
Teknoloji
Kültür Sanat
Sağlık
EĞİTİM
Türkiye
İlçeler
Gündem
Politika
Diğer İçerikler
Foto Galeri
Web Tv
Yazarlar
Gazete Manşetleri
Kurumsal
Künye
İletişim
Gizlilik İlkeleri
Kullanım Şartları
Geliştiriciler İçin